Traumhaftes großes Grundstück für ein Einfamilienhaus

Objekt-Nr. 4260430 in 40489 Düsseldorf - Kalkum

Ansprechpartner

Heike Hollmann

Telefon: 0211-403444


  • Kaufpreis
    1.290.000 €
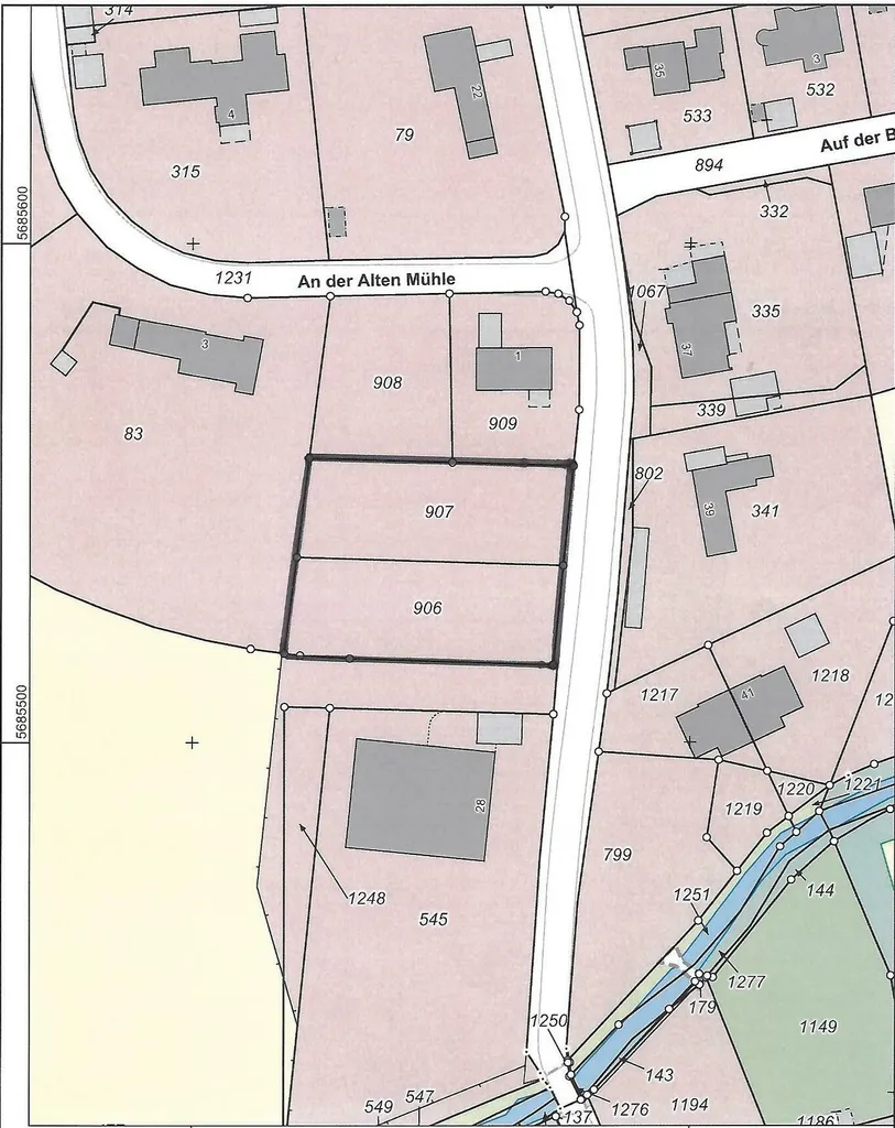
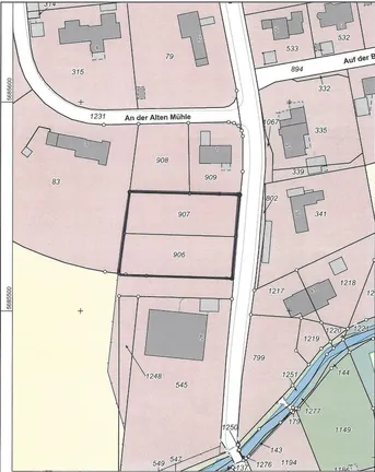
  • Grundstücksfläche
    ca. 2.141 m²

Beschreibung

In der begehrten „Hentrich-Siedlung“ nahe des Kalkumer Schlosses befindet sich dieses große Baugrundstück.
Bei dieser Anlage handelt es sich um einen Bau- und Gartendenkmalgeschützten Bereich, daher ist eine Neubebauung mit der Denkmalschutzbehörde abzustimmen. Genehmigt wird ein freistehendes Einfamilienhaus im Typus der übrigen Denkmäler An der Alten Mühle. Die maximale Höhe beschränkt sich auf ein Vollgeschoss, ein Teil darf auch zweigeschossig sein. Das Ziegelwerk wird weiß geschlämmt, das Dach ist ein Satteldach mit Ziegeln und kleinen Gauben bzw. Aufbauten.
Obwohl es sich hier um zwei Flurstücke handelt, darf das Grundstück zur Bebauung nicht geteilt werden, um den weiträumigen Charakter des Gebietes zu erhalten.

Lagebeschreibung

Ländlich, grün, familiär!

In Kalkum genießt man das ländliche Leben, hat aber schnellen Anschluss ans Zentrum Düsseldorfs und an die anderen bekannten und beliebten Stadtteile des Nordens. Kalkum bietet aufgrund seines dörflichen Charakters viel grüne, behagliche Wohnqualität mit schönen Höfen drum herum und Pferdekoppeln vor der Haustür.

Den Mittelpunkt des gewachsenen historischen Kerns bietet das wunderschöne Schloss Kalkum mit seiner öffentlich zugänglichen herrlichen Parkanlage – nur ca. 10 Minuten per Spaziergang vom Haus entfernt.

Aufgrund der Nähe zu Kaiserswerth, Wittlaer, Einbrungen und Angermund sind alle Wege offen zu vielfältigen Einkaufsmöglichkeiten, zu Gymnasien, Grundschulen und Kindergärten, zu Ärzten und Apotheken und zu einem breit gefächerten kulinarischen Angebot – von der Dorfkneipe über den Italiener bis zum köstlichen Schnellimbiss.
Die Verkehrsanbindungen sind durch ein dichtes Bus- und Bahnnetz ausgezeichnet.
Ins Herz Düsseldorfs sind es ca. zehn Autominuten und auch die großen wichtigen Autobahnen sind minutenschnell erreichbar.

Sonstiges

Maklerprovision: Bei Abschluss eines notariellen Kaufvertrages erhalten wir ein Erfolgshonorar. Der Käuferanteil beträgt 3% des Kaufpreises zzgl. der gesetzlichen Mehrwertsteuer.
Die Weitergabe dieses Angebotes an Dritte ist ohne unsere ausdrückliche Genehmigung nicht erlaubt. Bei Zuwiderhandlung haften Sie für die uns entgangene Maklercourtage. Dieser Nachweis gilt für ein Jahr. In dieser Zeit sind Sie uns gegenüber auch dann provisionspflichtig, wenn Sie dieses Objekt über einen anderen Makler oder direkt vom Eigentümer erwerben.

Für Angaben unseres Auftraggebers übernehmen wir keine Haftung.
Wir weisen darauf hin, dass die Grundrisse und ggf. Lageplan nicht maßstabsgetreu sind.

Ausstattung

Energieausweis laut Gesetz nicht erforderlich
Provisionspflichtig
Stellplatzart Garage, Freiplatz

Sonstiges

Käuferprovision: 3.57 %


Objekt-Nr. 4260430 in 40489 Düsseldorf - Kalkum